“After traveling by air for twenty hours, you have lost a day at the International Date Line and still have another flight to go … And yet, this is still considered US Disaster Response?”
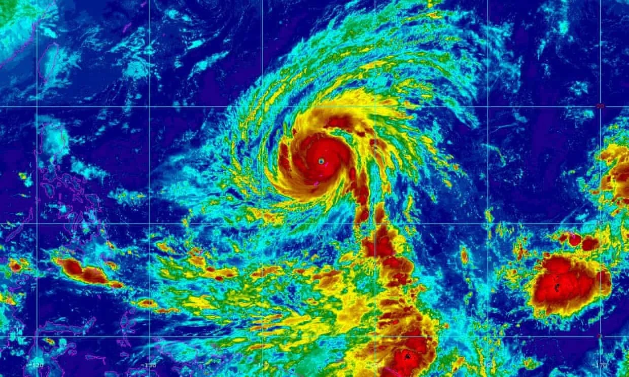
“Super Typhoon Yutu made landfall in the Commonwealth of the Northern Mariana Islands and brought maximum sustained winds of 150 – 180 mph (290 kph) and gusting to 220 mph recorded around the eye of the storm. The eye of the storm passed directly over southern Saipan and engulfed the entirety of Tinian just before 2 am on October 24 and 25, 2018. It is the most powerful storm to make landfall on U.S. soil since 1935.”
In early 2019, UMCOR along with other disaster Response organizations, was asked to help supply volunteers to respond to Saipan, after the tiny US Commonwealth was hit by Super-Typhoon Yutu in October 2018. Due to the lack of qualified volunteers on the island, the California Pacific (Cal/Pac) Conference put out a nationwide call to Early Response Team (ERT) volunteers for help. Since early 2019, the Rio Texas Conference has sent 8 volunteers on 4 different teams to help. Through the end of August, 12 teams of 6-8 members have been formed from ERTs from coast-to-coast, each working for two weeks at a time. Normally ERTs deploy for no more than three days at a time.
The work being done by these teams isn’t normal ERT work either. Normally, ERTs don’t do any rebuilding, but rather focus on stopping the damage in the immediate aftermath of disasters. In this case, the teams are doing just enough repairs to make the homes livable since there are no other options available. Work includes replacing roofs, doors & windows, along with some basic plumbing and electrical restoration. Because they are all UMCOR trained, they come with the same baseline knowledge and expectations as far as dealing with disaster survivors – an important aspect of disaster response.
The work is managed and overseen by FEMA Disaster Case Managers and logistics staff on the island. Supplies are made available through FEMA and through local purchases with funds provided by a local non-profit.
“Teams deployed to Saipan support FEMA’s Voluntary Organizations Leading and Organizing Repair (VALOR) Program, which was first used in Puerto Rico after Hurricane Maria in 2017. In both Puerto Rico and Saipan, the enormity of the damage necessitated that temporary repairs were made in order to allow survivors to safely remain in their homes until permanent repairs can be made.”
The FEMA contract for continuing work under the VALOR program is scheduled to end in October 2019, but may be extended, due to the remaining needs on the island. Believing that it will be extended, the Cal/Pac Conference is still recruiting additional teams through April 2020. For more information on the experience, contact any of the Rio Texas Conference ERTs who have gone:
For more information on the experience, contact any of the Rio Texas Conference ERTs who have gone:
Leslie Ricks (FUMC Pleasanton)
Larry Rice (Spring Creek UMC)
Randall Browning (Spring Creek UMC)
Cindy Moore (FUMC LaFeria)
Keith Sams (Dripping Springs UMC)
Cliff Scates (Dripping Springs UMC)
Ginnie Street (Dripping Springs UMC)
Jim Street (Dripping Springs UMC)
If you are interested in volunteering, or would like more information, you can contact the Linda Wilson, Saipan Team Coordinator at lwilson6215@gmail.com

